







4DK Property Gifu City Gifu Prefecture
Loading...
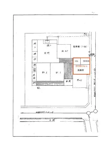
This detached wooden house, constructed in 1969, is situated in Gifu City, Gifu Prefecture. It features a 4DK layout, encompassing a total building area of 95.74 square meters on a substantial land plot measuring 170.73 square meters. Positioned within a First Class Low-Rise Residential Zone, the property benefits from a quiet and well-established residential atmosphere, conducive to serene living. A dedicated parking space for one vehicle is available on the premises, enhancing daily convenience and accessibility for residents. The interior comprises one bathroom and a separate washroom, offering practical amenities. While built in 1969, its wooden structure reflects the common building practices of the period. This property represents a viable opportunity for individuals seeking a personal home or investors interested in the local market. Its generous land size and functional dwelling provide a solid foundation for either immediate occupancy or future enhancements tailored to specific needs.
Property details
YEAR BUILT
1969
Bedrooms
4
BUILDING MATERIAL
Wooden
BUILDING SIZE
95.74 sqm
LOT SIZE
170.73 sqm
LAND OWNERSHIP
Freehold
ZONING
Residential
FLOOR
1
PARKING SPACE
Available
MINPAKU LIKELIHOOD
Unsure
Floorplan

Loading...