


























2SLDK Property Kawagoe City Saitama Prefecture
Loading...
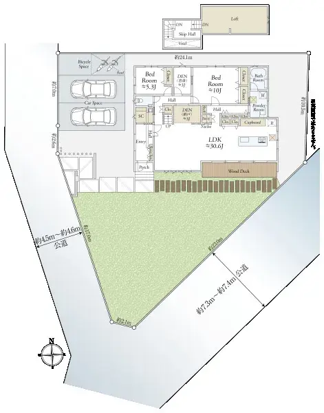
This 2SLDK wooden house, built in 2022, is located in Kawagoe City, Saitama Prefecture. The property features a spacious lot of 451.33 sqm and a total floor area of 123.8 sqm. It is equipped with an all-electric system, solar power generation, and a high-efficiency EcoCute system, contributing to energy savings and resilience during emergencies. Access is convenient, with a 15-minute bus ride from Kawagoe Station on the Tobu Tojo Line, followed by a 1-minute walk from the bus stop. Parking is available for two cars. The interior boasts a generous approximately 30.6 tatami-mat size LDK with a high ceiling, an island kitchen, and a BOSCH dishwasher. Other amenities include a bathroom dryer, ample storage such as a shoe cloak and pantry, and a mini washstand within the shoe cloak. Each room is fitted with LAN wiring for high-speed internet, and a 24-hour ventilation system ensures a comfortable living environment.
Property details
YEAR BUILT
2022
Bedrooms
2
BUILDING MATERIAL
Wooden
BUILDING SIZE
123.8 sqm
LOT SIZE
451.33 sqm
LAND OWNERSHIP
Freehold
ZONING
Residential
FLOOR
1
PARKING SPACE
Available
MINPAKU LIKELIHOOD
Unsure
Floorplan

Loading...